Jamaicans who now call Newfoundland and Labrador home are waiting anxiously for news out of the Caribbean island.
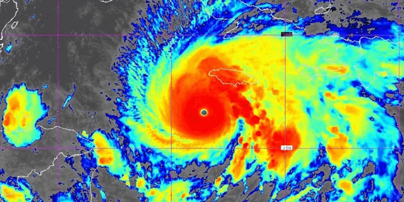
Hurricane Melissa is expected to make landfall this morning as a Category 5 storm.
Forecasters are warning of catastrophic flooding and landslides with heavy rain and winds gusting up to 175 mph.
Lisa Johnson of St. John’s grew up in the port town of Ocho Rios and still has family in Jamaica.
“My mom lives in Jamaica, I’m quite worried for her,” says Johnson. “I also have sisters and brothers as well, and a lot of the Jamaicans here have family (back home) you know, older, senior people, so we’re moreso concerned about them.”






















